
東温市松瀬川高台売土地 500万円
南道路は狭あい協議を行い道路後退が必要です。都市計画法43条の建築許可が必要です。埋蔵文化財の指定地域です。造成工事や建築する前に試掘調査が必要です。他に田319.44坪・畑261.66坪・雑種地29.94坪を一緒に売買希望ですが当該地は市街化調整区域の農振区域で青地区域となっておりますので農地以外に転用はできません。
-
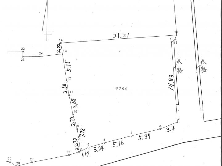
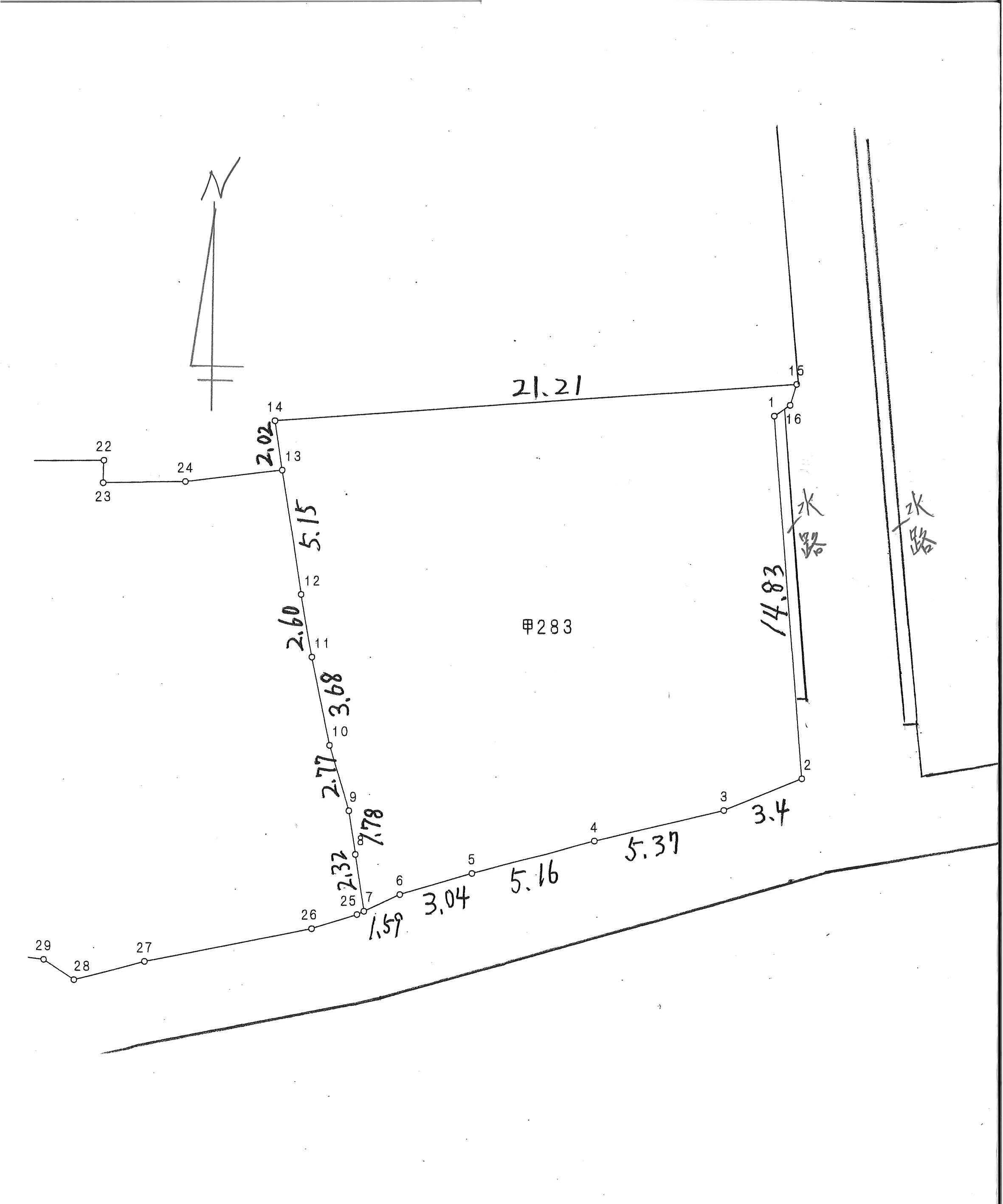
所在地東温市松瀬川甲283番
- 土地
-
地目宅地現況更地面積352.62㎡(106.66坪)道路南側3.5m・東側3.9m接道幅南道路に18.5m・東道路に15.9m
- 設備
-
下水合併浄化槽(排水管引込工事費必要)水道公営水道学校川上小・川内中交通さくらの湯バス停徒歩9分
- 法制限
-
用途市街化調整区域(2種低層に準ず)建ペイ70容積200その他南道路は狭あい協議を行い道路後退が必要です。都市計画法43条の建築許可が必要です。埋蔵文化財の指定地域です。造成工事や建築する前に試掘調査が必要です。他に田319.44坪・畑261.66坪・雑種地29.94坪を一緒に売買希望ですが当該地は市街化調整区域の農振区域で青地区域となっておりますので農地以外に転用はできません。
- アクセス解析ツールについて
- 当サイトでは、サイトの分析と改善を目的として Google によるアクセス解析ツール「Google Analytics」を利用しています。
Google Analytics はデータ収集のため Cookie を使用しています。当サイトをご利用中のウェブブラウザは、アクセスしたページのウェブアドレスや IP アドレス等、特定の情報を Google に自動的に送信します。このデータは匿名で収集されており、個人を特定するものではありません。
収集された情報は、Google のプライバシーポリシーに基づいて管理されます。
この規約に関して、詳しくは以下をご覧下さい。
・Google プライバシーポリシー(https://policies.google.com/technologies/partner-sites?hl=ja)
・Google Analytics 利用規約(https://www.google.com/intl/ja/analytics/terms/jp.html)












































